4422 69 Street Camrose, Alberta T4V 2P7
$122,500
Welcome to West Park's newest development....Lakeside!!! This development is situated close to shopping and dining. You can access the walking path along the lake and build your own home! Don't miss out on an amazing opportunity in 2026. (id:49203)
Property Details
| MLS® Number | A2016864 |
| Property Type | Vacant Land |
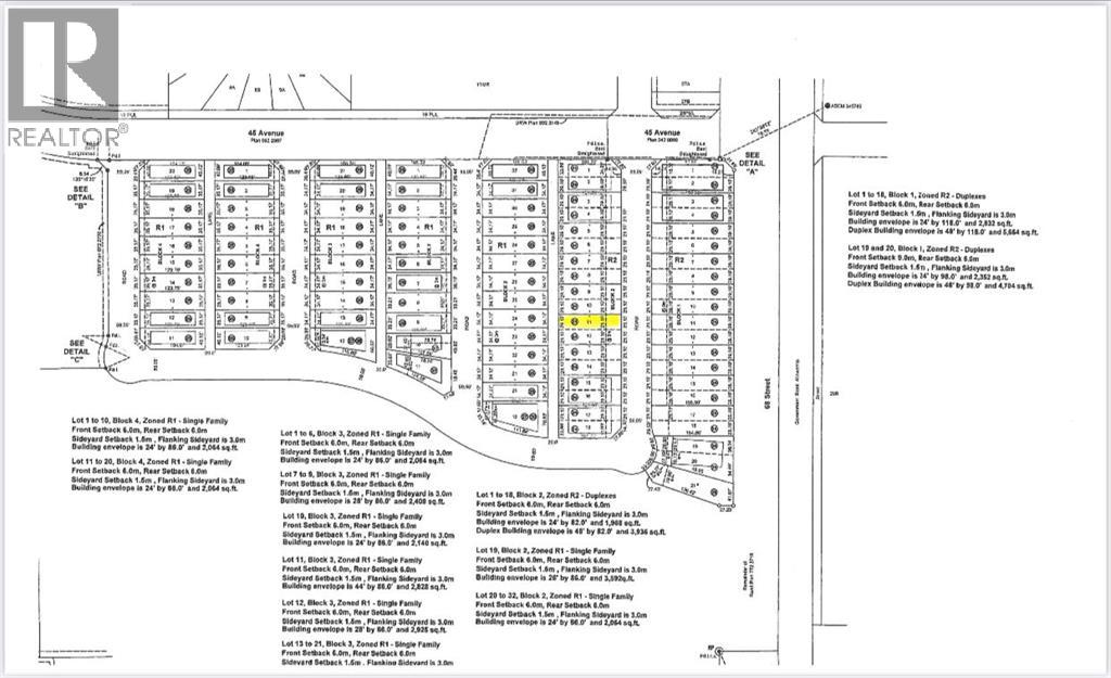
| Community Name | West Park |
| Amenities Near By | Shopping |
| Plan | 2521037 |
| Structure | None |
Building
| Age | Age Is Unknown |
Land
| Acreage | No |
| Fence Type | Not Fenced |
| Land Amenities | Shopping |
| Size Depth | 36.88 M |
| Size Frontage | 8.84 M |
| Size Irregular | 3538.00 |
| Size Total | 3538 Sqft|0-4,050 Sqft |
| Size Total Text | 3538 Sqft|0-4,050 Sqft |
| Zoning Description | R2 |
https://www.realtor.ca/real-estate/25208087/4422-69-street-camrose-west-park
Contact Us
Contact us for more information
Tracy Brandingen
Associate
(780) 672-4048
www.tracybrandingen.com/
www.linkedin.com/in/tracy-brandingen-85173220/
RE/MAX Real Estate (Edmonton) Ltd.
6006 - 48 Avenue
Camrose, Alberta T4V 0K3
6006 - 48 Avenue
Camrose, Alberta T4V 0K3
(780) 672-7474
(780) 672-4048
www.remaxcamrose.ca/










