355 Hampton Road Quispamsis, New Brunswick E2E 4W1
$255,000
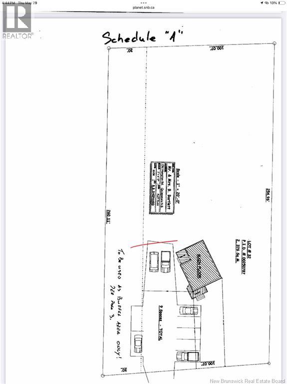
Prime location for a business or a future multi unit. Currently zoned Neighbourhood Commercial, the options to live where you work or generate investment income is all on the table. With 130 ft road frontage, over 10 parking spaces and centrally located in Quispamsis. Propery includes 2 lots in one. 2 bedroom apartment upstairs currently has a tenant $800 heat and lights (this can be separated) and lower unit is vacant with recent updates so is move in ready. Both seacans and quantson are not included and will be removed. All measurements to be confirmed by buyer. Town of Quispamsis must confirm business usage meets Neighbourhood/Commercial zoning. Offers are reviewed on a one to one basis. 24 hr notice to view apartment. 48hr irrevocable required. Proof of financial capability and Schedule A to accompany all offers. (id:49203)
Property Details
| MLS® Number | NB132834 |
| Property Type | Other |
| Equipment Type | Water Heater |
| Rental Equipment Type | Water Heater |
Building
| Cooling Type | Air Conditioned |
| Heating Type | Baseboard Heaters |
| Size Interior | 1,525 Ft2 |
| Total Finished Area | 1525 Sqft |
Land
| Acreage | No |
| Size Irregular | 33650 |
| Size Total | 33650 Sqft |
| Size Total Text | 33650 Sqft |
| Zoning Description | Nc |
https://www.realtor.ca/real-estate/29311578/355-hampton-road-quispamsis
Contact Us
Contact us for more information
Liane Daigle
Salesperson
www.facebook.com/506isHome
twitter.com/506isHome
www.instagram.com/506ishome/
1020 Rothesay Road
Saint John, New Brunswick E2H 2H8
(506) 642-3948
(506) 642-7770
































