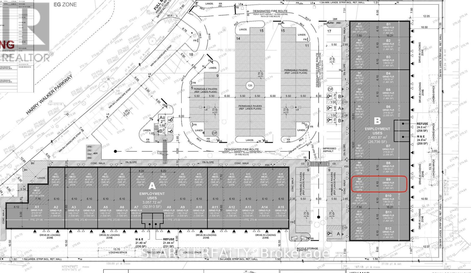
24 - 455 Harry Walker Parkway S Newmarket, Ontario L3Y 8T3
$1,249,000
New Industrial Condo in Prime Newmarket Location! Welcome to ELM Business Centre, Newmarket's newest state-of-the-art industrial development. Ideally situated just off Highway 404 at Mulock Drive, this brand-new industrial condo offers exceptional functionality and modern design. Features include large windows for natural light, a structural steel mezzanine, and a 12' x 14' drive-in grade-level door. Ample on-site parking, excellent signage exposure, and proximity to major amenities make this an outstanding opportunity to own in Newmarket's rapidly growing industrial hub. See attachment for a detailed list of upgrades. (id:49203)
Property Details
| MLS® Number | N12472801 |
| Property Type | Industrial |
| Community Name | Newmarket Industrial Park |
Building
| Bathroom Total | 1 |
| Cooling Type | None |
| Heating Fuel | Natural Gas |
| Heating Type | Forced Air |
| Size Interior | 1,993 Ft2 |
| Utility Water | Municipal Water |
Land
| Acreage | No |
| Zoning Description | Em-mixed Employment |
Contact Us
Contact us for more information
Natalie Wilson
Salesperson
nataliewilsonhomes.com/
www.facebook.com/nataliewilsonhomes/?modal=admin_todo_tour
twitter.com/wilson_homes
www.linkedin.com/in/natalie-wilson-2ab824b2/
5100-333 Bay St
Toronto, Ontario M5H 2R2
(877) 366-2213
www.lpt.com/
















